Skip to main content

Support WBUR

Record Heat In The Gulf Fueled Hurricane Harvey's Deluge

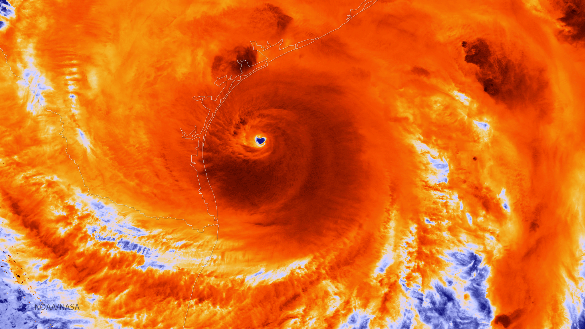
An infrared satellite image shows Hurricane Harvey just prior to making landfall on Aug. 25, 2017. Warm water in the Gulf of Mexico fed heavy rains, according to new research. (Getty Images)
An infrared satellite image shows Hurricane Harvey just prior to making landfall on Aug. 25, 2017. Warm water in the Gulf of Mexico fed heavy rains, according to new research. (Getty Images)

Support WBUR

Support WBUR

Listen Live